Vous êtes ici : Accueil / Ressources pédagogiques / Par niveau / Ressources pédagogiques Première Spécialité SVT

Ressources pédagogiques Première Spécialité SVT

Mise à jour le 25/03/2008
Par Josée Broussaud
Cette page recense les activités pédagogiques proposées pouvant être mises en œuvre en classe de Première Spécialité SVT.

Pour toutes ces applications il est nécessaire d'installer Google Earth sur vos machines . Voir téléchargement et prise en main de Google Earth

Note : les fichiers kmz ouvrent directement Google Earth s'il est installé sur votre ordinateur. Selon la taille du fichier quelques instants sont nécessaires à son chargement

pdf.jpg  Fiche d'aide Simplifiée de Google Earth (version 7)(version 6) (version 5)

 

La dynamique interne de la Terre :

La structure du globe terrestre

 
 

La dynamique de la lithosphère

Mobilité horizontale et Divergence
  La dynamique des zones de convergence

Tectonique des plaques et Géologie appliquée - Les gisement d'hydrocarbures  (ancien programmes de Première S)

Géologie régionale - Sorties de terrain

Géologie globale

 

LA DYNAMIQUE INTERNE DE LA tERRE

 

 

La structure du globe terrestre

DOMAINE CONTINENTAL vs DOMAINE OCEANIQUE

Cette activité permet de comparer les domaines océanique et continental. Ce peut être un préambule du thème "La dynamique de la Terre" en Première Spé puisqu'elle permet de dresser un premier constat et d'établir les problématiques qui seront abordées par la suite.

Accès à la ressource pédagogique et au fichier kmz

 

Mobilité horizontale de la lithosphère et Divergence

Vignette_Magnetisme1S.jpg

Le paléomamétisme et la dérive des plaques lithosphériques

Dans le cadre de l'étude de la mobilité des plaques lithosphétiques, le programme de Première spécialité aborde les notions de paléomagnétisme.

On est donc amené, dans le meilleur des cas en collaboration avec l'enseignement de physique, à aborder les notions de pôles, champ magnétique terrestre,... Ces notions en apparence simples se révèlent en réalité fort complexes.

Accès à la ressource pédagogique et au fichier kmz


LES LIMITES DE PLAQUES  -  Lycée

Ce travail sur les différentes limites de plaques (différents types et leurs caractéristiques, roches associées) est réalisable dans le cadre du programme de Première spécialité. Il est proposé par Agnès Rivière enseignante de SVT au lycée Paul-Louis Courier de Tours (37)

Accès à la ressource pédagogique et au fichier kmz

Accrétion dans les dorsale lentes

La lithosphère océanique se forme au niveai des zones d'accrétion lente par exhumation du manteau. Cette exhumation peut générer des OCC (Oceanic Core Complex ou Megamullions) reconnaissables par leur forme et leur surface striée sur le fond de l'océan.

Accès à la ressource pédagogique et au fichier kmz

flux_thermique1.jpg

LA TOPOGRAPHIE OCEANIQUE

Comprendre comment la convergence des observations océanographiques avec les mesures de flux thermique a permis d’avancer l’hypothèse d’une expansion océanique et observer des bandes d’anomalies magnétiques symétriques par rapport à l’axe des dorsales océaniques.

Accès à la ressource pédagogique et au fichier kmz

age_anomalies.jpg

L'expansion océanique

Utiliser un visualiseur "en ligne" Google Earth  pour confirmer l'expansion océanique à partir :

  • des résultats des forages du Glomar Challenger
  • des données GPS

Calculer des vitesses d'expansion.

Accès à la ressource pédagogique et au fichier kmz    

geol.jpg

L'Islande, une dorsale émergée et un point chaud

Etudier une dorsale océanique associée à un point chaud.

Estimer une vitesse d'expansion

Accès à la ressource pédagogique et au fichier kmz    

gge4.jpg

Le volcanisme de point chaud, l'alignement volcanique des îles Hawaii

Utiliser un système d'information géographique "en ligne" Google Earth  pour estimer la vitesse de déplacement des plaques lithosphériques grâce aux points chauds

Accès à des banques de données sur les séismes récents, les volcans en activités, les mesures GPS, cartes géologiques...

Accès à la ressource pédagogique 

GPS image

Balises GPS

Toutes les balises GPS permettant de mesurer le sens et la vitesse de déplacement des plaques lithosphériques.

Des liens directs avec les données du site de la NASA.

Fichier kmz

 

La dynamique des ZONES DE convergence

 

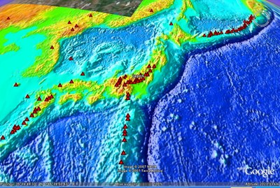
Une zone de subduction : Le Japon

L'interprétation de  données sismiques permet de montrer que la lithosphère s'enfonce dans le manteau au niveau des fosses dites de subduction.

Dossier sur le séisme du 11 novembre 2011....

Accès à la ressource pédagogique et au fichier kmz

fosse du Tonga

Le retour de la lithosphère océanique dans le manteau

Google Earth est un logiciel qui va nous permettre non seulement de saisir et d'exploiter des données topographiques, sismiques et volcaniques mais aussi d'afficher les isobathes du toit de la plaque plongeante (slab) ainsi que des coupes tomographiques.

Avec trois exemples, au niveau de la fosse du Japon, de celle du Chili-Pérou et de celle du Tonga,on peut définir la lithosphère par rapport à l'asthénosphère et confirmer que la lithosphère océanique retourne bien dans le manteau.

Accès à la ressource pédagogique et au kmz

Etude des marges actives en subduction

Un TP classique de TS revisité sous Google Earth. L'élève construit les plans de Bénioff à partir de ses propres mesures, interprète la plongée des plaques océaniques et la position des arcs volcaniques. Avec les limites de plaques et leurs déplacements, les séismes historiques et les derniers séismes actuels, le volcanisme, des cartes géologique du monde, ...et toujours la planète en 3D

  Accès à la ressource pédagogique et au fichier kmz

lE MAGMATISME DES ZONES DE CONVERGENCE

Une activité collaborative autour du magmatisme des zones de subduction.

Accès à la ressource pédagogique et aux kmz

Une zone de subduction : VANUATU (Espiritu Santo)

Carte Géologique (CCGM Carte Géologique du Monde). Bathymétrie et topographie (National Geophysical Center). Séismes anciens selon la profondeur des foyers : localiser les zones de subduction, tracer un plan de Benioff (utiliser la règle de Google Earth et la profondeur des séismes). Séismes récents, moins de 7 jours, mise à jour toutes les 5 minutes (USGS). Limites de plaques lithosphériques. Volcans en éruption (Volcano Word). Vue 3D du fond marin dans le bassin Nord Fidjien (Ifremer).

Fichier kmz

La place de l’archipel du Vanuatu dans la géodynamique du Pacifique Sud-Ouest

 

 

Anciens programmes de 1ère S : Tectonique des plaques et Géologie appliquée : GISEMENTS D'HYDROCARBURES

Golfe du Mexique et gisements d'hydrocabures

Le Golfe du Mexique est l'une des zones du globe les plus riche en gisements d'hydrocarbures. Le fichier .kmz qui sera présenté dans cet atelier permet, à partir de cet exemple :

  • d'extraire des informations montrant le positionnement géographique de cette région, favorable à la formation d'hydrocarbures ;
  • de reconstituer l'histoire géologique de cette zone et d'inscrire la formation des hydrocarbures dans le cadre de la tectonique globale ;
  • de construire un schéma de la structure d'une marge passive.

Accès à la démarche pédagogique

Méthane : source d'énergie prometteuse ou géohazard ?

De nombreux pays partent en quete de cette prometeuse source d'énergie que représente les hydrates de méthane. De vastes gisements ont été découverts notamment sur les marges passives et actives de nombreux contients. Ce dossier permet de mettre l'élève dans la peau du géologue qui recerche les gisements par les méthodes sismiques ou par carottage, de l'exploitant qui extrait et transporte le gaz dans des environnement extrèmes et de l'environnementaliste qui évalue les risques de l'exploitation ou de la non exploitation des gisements.

Accès au dossier et aux démarches pédagogiques

 

Géologie  régionale

LemptVignet.jpg

Une excursion à Lemptégy : dans la chaîne des Puys par GPS

 Une excursion géologique entièrement suivie par GPS : toutes les données de distances, altitudes, horaires et bien sûr géoréférencement du trajet avec ses arrêts, les photos,... L'ensemble est transféré dans Google Earth avec les compléments maintenant habituels (cartes, photos, liens,...). Le dossier illustre une excursion aux volcans de Lemptégy dans le cadre de la géologie de terrain en classe de 1S

 Fichier kmz

EtnaVignette.jpg

Sur l'Etna et en avion par GPS

Une excursion sur l'Etna et le retour en France par avion suivis par GPS : documents élaborés à la suite d'un voyage de cinq jours en Sicile des classes de 1S du Lycée Rollinat (Argenton/Creuse 36200) dans le cadre d'un projet Trans-Europe-Centre réalisé du 28  mars au 1er avril 2008.
Le trajet est suivi à partir de données GPS de terrain, avec orientation et géoréférencement des prises de vue.
Le dispositif permet de s'orienter exactement et d'accéder directement au contexte géographique plus large, ou au contraire plus précis, qu'apporte Google Earth.

 Fichier kmz

 

Géologie  globale

image globale

Géologie globale

La Terre, planète active : analyser des zones de subduction, des dorsales, calculer leurs vitesses d'expansion, ... avec les zones volcaniques, une banque de données des derniers séismes, la superposition de cartes géologiques à l'échelle mondiale ...

Fichier kmz